HomeNacionalesBandas nubosas de Erin siguen dejando lluvias en varias regiones del país...

Bandas nubosas de Erin siguen dejando lluvias en varias regiones del país para este lunes 

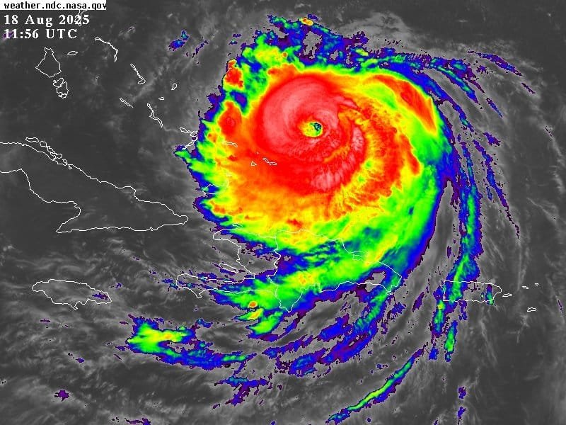
El huracán Erín continuará alejándose de la República Dominicana, sin embargo, sus efectos indirectos seguirán generando oleaje anormal en la costa Atlántica. Además, desde  tempranas horas matutinas y durante la mañana, bandas nubosas asociadas a Erin, mantendrán las condiciones atmosféricas favorables, para que se desarrollen nublados con aguaceros moderados a fuertes, tormentas eléctricas y frecuentes ráfagas de viento, principalmente hacia el litoral atlántico y las regiones sureste y suroeste.

Esta actividad precipitaciones se extenderá hacia localidades de la Cordillera Central y la zona fronteriza, durante la tarde hasta las primeras horas de la noche.

El huracán ERIN es categoría 4 en la escala de Saffir-Simpson, ahora posee vientos máximos sostenidos estimados en 215 km/h. Se localiza aproximadamente a 170 kilómetros al nor/noreste de Gran Turk Island y se desplaza hacia el noroeste a una velocidad de 20 km/h.

El Centro Nacional de Pronósticos del INDOMET mantiene el nivel aviso meteorológico por los efectos indirectos del huracán Erín, ante el riesgo de oleaje peligroso, mar de fondo, corrientes de resaca, olas de más de 10 pies de altura y posibles inundaciones urbanas.

Las provincias que se encuentran en Aviso son: La Altagracia, El Seibo, Hato Mayor, Samaná, María Trinidad Sánchez, Espaillat, Puerto Plata y Montecristi.

RELATED ARTICLES

Most Popular

Recent Comments